Listing provided courtesy of Robert Graf of RE/MAX One. Last updated 2026-03-21 08:22:29.000000. Listing information © 2026 CRMLS.
Asking Price: $1,000,000
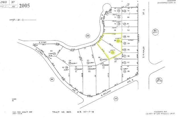
11531 Vimy, Granada Hills CA 91344
Community: GH - Granada Hills
Status: Pending
This Single Family Residence property was built in 1948 and is priced at $1,000,000. Please see the additional details below.
Discover a rare investment and development opportunity in highly sought-after Granada Hills. Located north of Rinaldi on an expansive, nearly 1-acre lot, this exceptional property offers endless possibilities for builders, developers, and visionaries looking to create something truly special. Comprised of two APNs totaling approximately 41,012 square feet, this unique offering provides the space and setting to design and build a custom dream estate with sweeping, panoramic views of the San Fernando Valley. The elevated vantage point captures the beauty of the valley below—an increasingly rare find with this kind of lot size and view potential. The property currently features a 2-bedroom, 1-bath home and a detached garage. This is a complete fixer / tear-down being sold for “Land Value”, presenting a prime opportunity for redevelopment. Whether you envision a luxury estate, expanded compound, or investment project, the canvas is yours to create. Situated within the highly desirable Granada Hills Charter High School district, the location further enhances long-term value and appeal. The property is being sold completely As-Is, with no repairs or credits. All contents and items currently on the property will remain; buyer to remove and/or dispose. Due to condition, cash or private/hard money only—traditional financing will not qualify. Large parcels with panoramic views in this prime location rarely become available. Don’t miss this extraordinary chance to build, invest, and capitalize on one of Granada Hills’ most unique offerings—seize the opportunity and bring your vision to life today.
































